Il governo della Giamaica è in stato di massima allerta per l’imminente arrivo di Melissa, un uragano di categoria 5 che si prepara a colpire l’isola con una forza senza precedenti nella sua storia. La tempesta, che si muove lentamente attraverso i Caraibi, ha già lasciato circa 50.000 persone senza elettricità e minaccia di provocare danni ingenti e inondazioni costiere, soprattutto lungo la fascia meridionale del Paese.
Uragano Melissa in Giamaica: l’impatto sull’isola e le vittime durante i preparativi
Secondo Desmond McKenzie, ministro per lo Sviluppo Comunitario e coordinatore della risposta alle emergenze, la situazione elettrica è critica: oltre 40.000 utenze sono rimaste al buio nella parte occidentale dell’isola, altre 4.000 nella zona orientale, e circa 5.000 nel centro. Il numero di cittadini che hanno scelto di rifugiarsi nei 881 centri di accoglienza predisposti dal governo è in crescita costante. McKenzie ha invitato gli sfollati a portare con sé medicinali, acqua, cibo leggero e documenti personali accuratamente protetti.
Purtroppo, la preparazione all’uragano ha già causato tre morti e diversi feriti: Christopher Tufton, ministro della Salute, ha confermato che gli incidenti sono avvenuti nelle contee di Hannover, Saint Catherine e Saint Elizabeth, sottolineando l’estrema gravità della situazione anche prima dell’arrivo della tempesta.
La minaccia di Melissa e le reazioni della popolazione
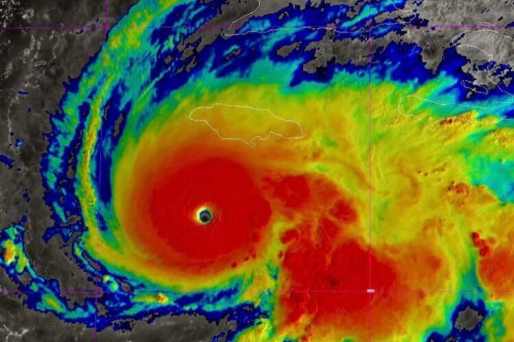
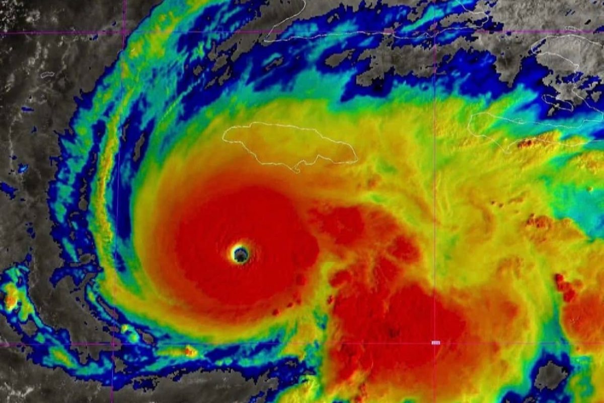
Melissa, con venti che superano i 280 km/h, rappresenta una delle tempeste più potenti mai registrate nella regione, paragonabile a uragani storici come Maria nel 2017 e Katrina nel 2005. Il Centro Nazionale Uragani degli Stati Uniti ha rilevato che la tempesta si trova ancora a circa 240 chilometri da Kingston, ma la sua traiettoria lenta aumenta il rischio di piogge torrenziali e inondazioni.
Nonostante le raccomandazioni ufficiali di evacuare, un segmento della popolazione si mostra riluttante, influenzato anche dalla diffusione di video generati da intelligenze artificiali che minimizzano i rischi e mostrano scene di festa o attività ricreative come il jet ski. Dana Dixon, ministro dell’Informazione, ha denunciato la circolazione di questi contenuti falsi, invitando alla prudenza.
Nel frattempo, a Saint-Thomas, circa sessanta persone hanno cercato rifugio in una scuola elementare, mentre si attendono le prossime ore cruciali per valutare l’effettivo impatto del ciclone su tutta la Giamaica.






